123 Applegarth Road, Monroe NJ 08831

Property City
Monroe
Property Media
Property
Property
Property
Property
Property
Property
Property
Property
Property Price
$1,400,000
Bathrooms
0
Tax Annual Amount
$14502
Lot Size Area
4.6
MLS Status
Active
MLS #
2660707M
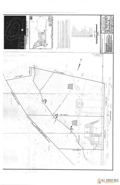
Prime 4.6-acre property located on highly traveled Applegarth Road in the heart of Monroe Township's HD (Highway Development) Zone. The site currently features a single-family residence and offers excellent redevelopment potential for a variety of permitted commercial and mixed-use applications. This well-positioned parcel offers significant frontage, strong visibility, and convenient access to major thoroughfares including Route 33, the NJ Turnpike (Exit 8A) Ideal for medical, office, retail, or service-oriented commercial uses, subject to municipal approvals. There is a possibility to combine it with lot next door totaling 7.6 acres. All use's to be confirmed with Monroe Twp. There is access to city water and sewer
Days On Market
25
Property Location

40.2728244, -74.4709031

Geo Lat Long Proximity (field_pro_lat_long)
Units: Miles
Origin Coordinates
Value in decimal degrees. Use dot (.) as decimal separator.
buynjhome Jagdeep

Jagdeep Singh

+1(848)242-6762